
Tin mới nhất bão Haiyan: Đã có 100 người thiệt mạng
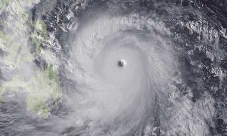
(VTC News) - Siêu bão Haiyan mạnh nhất thế giới đổ bộ vào Philippines, tàn phá miền Trung quốc gia này với sức gió lên đến 312km/h, làm ít nhất 100 người chết.

(VTC News) - Siêu bão Haiyan mạnh nhất thế giới đổ bộ vào Philippines, tàn phá miền Trung quốc gia này với sức gió lên đến 312km/h, làm ít nhất 100 người chết.

(VTC News) - Hãng tin RT dẫn lời Hội chữ thập đỏ Philippines nói đã có hơn 1.200 người thiệt mạng sau khi siêu bão Haiyan quét qua nước này.

(VTC News) - BBC đưa tin siêu bão Haiyan, cơn bão mạnh nhất từng đổ bộ vào đất liền đang tấn công Philippines với sức gió lên đến 235 km/h.

(VTC News) - Cơn bão thứ 26 hình thành trên Thái Bình Dương năm nay có tên Wipha đang hướng thẳng về Nhật Bản và đe dọa nhà máy điện hạt nhân Fukushima.

(VTC News) - Bão số 11 đang hướng vào miền Trung, khu vực từ Quảng Nam tới Quảng Bình, Hà Tĩnh được xác định là vùng đổ bộ của tâm bão

(VTC News)- Cơn bão nhiệt đới TraMi đổ bộ Trung Quốc gây mưa lớn và lũ lụt những ngày qua khiến ít nhất 125 người chết.

(VTC News) - Các chuyên gia khí tượng thế giới đã có những nhận xét về Bão số 2/Bebinca đang di chuyển trên vùng biển Vịnh Bắc Bộ của nước ta.